Get all your news in one place.
100’s of premium titles.
One app.
Start reading
One app.
Get all your news in one place.
100’s of premium titles. One news app.
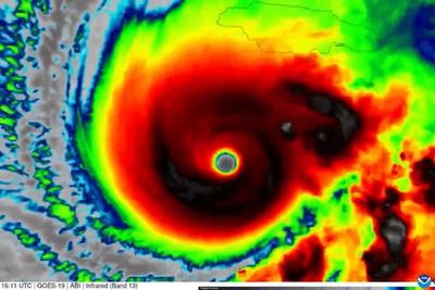
The Latest Breaking News from Hurricane Melissa
From analysis to the latest developments in health,
read the most diverse news in one place.
read the most diverse news in one place.
Read news from The Economist, FT, and more,
with one subscription
with one subscription
Get all your
news in one place.
news in one place.
100’s of premium titles.
One news app.
One news app.
Get all your
news in one place.
news in one place.
100’s of premium titles.
One news app.
One news app.
People
Donald Trump
155,666 stories
Sir Keir Starmer
23,029 stories
Rishi Sunak
22,389 stories
Pete Hegseth
2,649 stories
Yvette Cooper
1,587 stories
Lindsey Graham
1,203 stories
Gustavo Petro
872 stories
Andrew Holness
95 stories
Marc Shoffman
27 stories
Matias Delacroix
17 stories
Matt Watts
10 stories
From analysis to the latest developments in health,
read the most diverse news in one place.
read the most diverse news in one place.
Organisations
Read news from The Economist, FT, and more,
with one subscription
with one subscription
Topics