Tourists locked down in their hotels are among thousands of Britons at risk as deadly Hurricane Melissa batters Jamaica.
The Jamaican government has ordered evacuations from high-risk areas, while other people have been told to stay inside, and all of the country’s airports are shut, as the world’s strongest storm of the year so far is set to make landfall on Thursday.
At least seven people have died across the Caribbean region so far, including three in Jamaica, three in Haiti and one in the Dominican Republic.
Foreign secretary Yvette Cooper warned that “there are 50,000 dual nationals who live in Jamaica, up to 8,000 British citizens who may be travelling there or may be on holiday there”, with British nationals now urged to register their presence with the Foreign Office.
Among them is holidaymaker Andrew Tracey, who said he had been ordered to stay in his hotel bathroom until the storm passes. He had been due to fly home on Monday before his flight was cancelled.
Mr Tracey described how food packages were being delivered to guests, with deck chairs removed from the beach and swimming pools drained at his Negril hotel.
“The balcony and walls do feel as though they are vibrating just due to the strength of the wind,” he told Sky News. “I’m very nervous, it’s hard to comprehend what we are likely to expect.”
Rebecca Chapman, who is in Jamaica for her 25th wedding anniversary, told BBC Radio 4’s Today programme her family’s hotel room is about 10 metres from the sea, so they are being moved to a more sheltered room.
“There’s this weird roar that sounds like it’s coming from the sea. It’s really odd, like something’s coming,” she said. “The birds have all gone, so it’s all gone really quiet. It’s like a ghost town.”

Catastrophic flash floods and landslides are likely in the coming hours, with up to 700mm of rain, four-metre waves and 135mph winds possible, the Foreign, Commonwealth and Development Office (FCDO) told travellers.
Describing Melissa as “potentially the most severe storm ever to hit the country”, Ms Cooper said: “The FCDO stands ready to help British nationals 24/7.
“We have set up a crisis centre in the Foreign Office, including with support from the (Ministry of Defence), and also we are positioning specialist rapid deployment teams to provide consular assistance to British nationals in the region.
“Any British nationals who are there should follow our travel advice and the advice of the Jamaican authorities.”

In an update on Tuesday afternoon, the FCDO said British nationals in the country should register to receive updates.
Meanwhile, the Royal Navy ship HMS Trent is already in the region on stand-by.
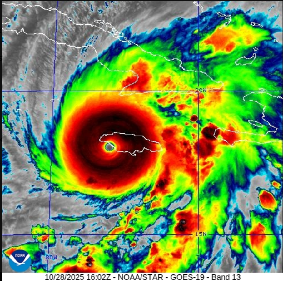
Melissa intensified to Category 5 strength as it neared Jamaica – the highest on the Saffir-Simpson scale with sustained winds exceeding 157mph.
Three such hurricanes have formed during the 2025 Atlantic hurricane season, something not seen for 20 years.

Previous Category 5 hurricanes include 2005’s Katrina that killed 1,392 people and caused an estimated 125 billion dollars worth of damage, particularly around New Orleans.
A spokesperson for UK travel trade organisation Abta said: “Travel providers are liaising with their suppliers locally and providing advice and assistance to their customers.
“Customers currently in Jamaica are advised to monitor local news and should follow the advice of the local authorities, their accommodation and travel providers.”