
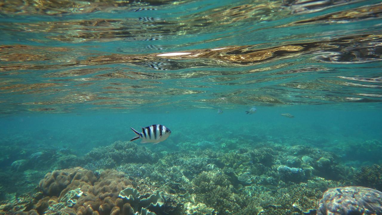
The northern stretches of Australia's iconic Great Barrier Reef are tracking towards moderate marine heatwave conditions over summer.
While Australia might not experience as severe heatwaves as last summer, the outlook still poses coral bleaching risks for World Heritage-listed reef if newly developed long-range forecasts are accurate.
Australia's oceans clocked their warmest 12 months on record in 2024-25, with above-average sea temperatures hitting Western Australia particularly hard, causing unprecedented coral bleaching and fish kills.
The Great Barrier Reef experienced its sixth mass bleaching event since 2016, with the northern region struck most acutely.
Algal blooms and poor fish catches were also consequences of the warmer-than-usual water temperatures of 2024.
Marine heatwave conditions, characterised by the Bureau of Meteorology as the top 10 per cent of above-average sea surface temperatures, are expected to be most prevalent in the Coral Sea from January to April.
Moderate heatwave conditions are also predicted for patches of south-east Tasmania this summer.
The forecasts suggest Western Australia's coastline will be spared from sea surface temperature conditions as elevated as 2024.
Federal Environment and Water Minister Murray Watt said the forecasts developed by the meteorological bureau and the national science agency CSIRO would help prepare for water temperature heatwaves.
"Marine heatwaves were listed as a key hazard in the National Climate Assessment, and we expect them to become more common due to climate change," Senator Watt said.
"Recent extreme marine heatwave events have had serious impacts on ocean health, protected species, and fisheries and aquaculture operations in Australian waters, including mass fish kills, low fishery yields, and contributing to algal blooms."
Climate Council chief executive Amanda Mckenzie said tropical reefs were struggling to recover after frequent bleaching events.
"While some corals will come back, some corals and some species will be permanently dented," she told AAP.
"So you're seeing this ongoing decline of an ecosystem that was once the most biodiverse in the world."
Authorities have already been briefing fishers, aquaculture businesses, marine protection agencies and other groups interested in a long-range forecast for extreme ocean temperatures.
Fish farms might consider thinning out pens before a heatwave to minimise stress, as an example of how the predictions could be used.