
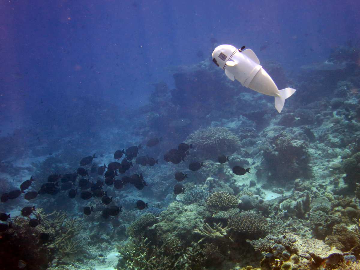
WASHINGTON (Reuters) - When exploring marine environments, underwater robots tend to be a bull trout in a china shop, disturbing marine life with their bulk and disruptive propulsion. Enter SoFi, the soft, agile robotic fish with a delicate demeanor.
Scientists said on Wednesday they have created a remote-controlled robot that swims quietly through coral reefs and schools of fish and uses a fisheye lens -- of course -- to capture high-resolution photos and video with a camera built into its nose.

Dubbed SoFi, it can swim forward, move up and down, turn and change speeds, propelling itself by wiggling its tail side to side like a real fish, a motion created by pumping water with a small motor into two balloon-like tail chambers. SoFi, built with a generic fish design, is white, weighs less than 4 pounds (1.6 kg) and is about 18 inches (47 cm) long.
SoFi's "soft artificial muscle" tail is made of silicone elastomer, a type of rubber. Its nose houses the electronic elements. It has two side fins for maneuvering.
"I chose SoFi, pronounced like Sophie, as a name because it not only abbreviates the word Soft Fish, but it also reminded me of a girl I liked a lot and had a crush on in high school," said study lead author Robert Katzschmann, a robotics researcher and PhD candidate at the Massachusetts Institute of Technology's Computer Science and Artificial Intelligence Laboratory (CSAIL).

"The name is mellifluous just like the way the robot glides and undulates in water," added roboticist Daniela Rus, CSAIL's director.
SoFi is operated using a waterproofed Super Nintendo controller by a diver who can be almost 70 feet (21 meters away). CSAIL researchers tested SoFi in South Pacific coral reefs and coastal waters near Taveuni, Fiji's third-largest island, as well as in an MIT pool.
The untethered robot navigates for up to 40 minutes at depths reaching almost 60 feet (18 meters).

Existing autonomous underwater vehicles typically are tethered to boats and powered by propellers or jets that can disrupt the natural environment. SoFi swims alongside fish and other marine creatures without sending them fleeing.
"The robot can be used as a marine biology instrument and also to measure pollution in coastal waters, to create maps, to do inspection, to monitor and track," Rus said.
"This hopefully serves as inspiration for many more soft robotic creatures to come, both on land and in water," Katzschmann added.

The research was published in the journal Science Robotics.
(Reporting by Will Dunham; Editing by Sandra Maler)