Get all your news in one place.
100’s of premium titles.
One app.
Start reading
The Guardian - UK
The Guardian - UK
Environment

Coral reefs under threat

Expedition to Raja Ampat, Papua, Indonesia
Coral in Raja Ampat, Papua, Indonesia. Coral reefs are a vital part of the ocean ecosystem, providing a habitat for more than a quarter of all marine species, and generating an income for an estimated 200 million people worldwide Photograph: Sterling Zumbrunn/CI
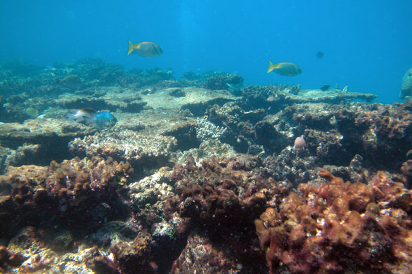
Severely degraded reef flat at Kelso Reef, Great Barrier Reef, Australia
Severely degraded coral reef off the coast of Queensland, Australia. The most recent status of coral reefs report shows that 20% of the world’s coral reefs have been effectively destroyed and show no immediate prospects of recovery. Some 24% of the world’s reefs are under imminent risk of collapse through human pressures and a further 26% are under a longer term threat of collapse Photograph: Cathie Page
A close up image of Porites pukoensis
This porites pukoensis, a rare species of lobe coral found in Hawaii, is listed as critically endangered on the International Union for the Conservation of Nature "red list" of threatened species. Coral reefs are under threat from coastal development, pollution and agricultural runoff, dynamite fishing, bleaching, ocean acidification and tourism Photograph: Donald C Potts
Great Barrier Reef, Australia
Black band disease is another threat to coral, seen here progressing across a colony of favia speciosa on the Great Barrier Reef, Australia. Australian scientists have reported an increase in coral disease on surveyed reefs in recent years, while coral disease has had a major impact on Caribbean reefs where it has destroyed 80% of coral in the past 20 years. Scientists believe that the increase in disease in some areas may be linked to higher sea temperatures Photograph: Cathie Page
a healthy reef in the Verde Passage in the Philippines
Corals are also under threat from natural predators. Outbreaks of the crown of thorns starfish have become a cause of huge concern on Australian and Indo-Pacific reefs. The starfish, which has a voracious appetite, eats the delicate polyps on the outside of the coral and leaves behind just the calcium carbonate skeleton. Outbreaks have occurred when the starfish have found favourable conditions in areas with increased nutrients in the water from run-off and settled en masse Photograph: Suzanne R Livingstone
Little Kelso Reef, Great Barrier Reef, Australia
Another natural predator is the drupella snail, which feeds on coral tissue like that of this acropora muricata coral on the Great Barrier Reef, Australia. Using specialised mouth parts, it feeds on living coral tissue and leaves behind white scars. A relatively common inhabitant of Indo-Pacific reefs, it has been responsible for extensive coral reef damage Photograph: Cathie Page
Sign up to read this article
Read news from 100’s of titles, curated specifically for you.
Already a member? Sign in here
Related Stories
Top stories on inkl right now
One subscription that gives you access to news from hundreds of sites
Already a member? Sign in here
Our Picks
Fourteen days free
Download the app
One app. One membership.
100+ trusted global sources.